Neue Straße in Sondershausen beschlossen
Freitag, 27. März 2015, 07:13 Uhr
Nein, keine Angst, Sondershausen ist nicht größer geworden und hat auch keinen ("noch") Ortsteil hinzubekommen. Was da los war, erfahren Sie hier...
In der gestrigen Sitzung des Stadtrates der Stadt Sondershausen erfolgte die Umbenennung eines Abschnittes der Straße Steingraben in
An der Wipper"
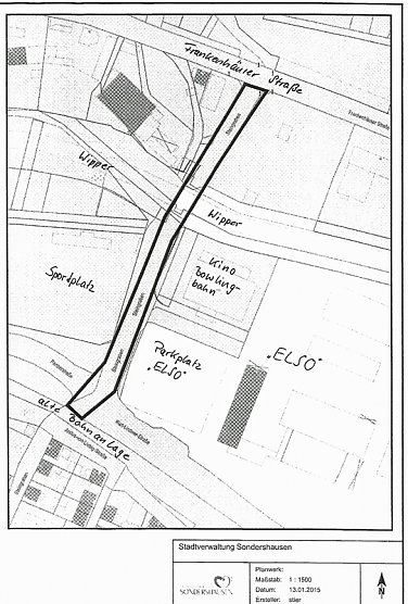
Der Stadtrat der Stadt Sondershausen beschloss mehrheitlich die Umbenennung des Abschnittes der Straße Steingraben von der Frankenhäuser Straße bis an die ehemalige Bahnanlage gemäß des beigefügten Übersichtsplanes (Bild oben) in An der Wipper zum O1. Januar 2016.
Am betroffenen Abschnitt der Straße Steingraben grenzen mehrere Gewerbegrundstücke an, die postalisch noch der Frankenhäuser Straße zugeordnet sind. Die Zuordnung resultiert aus der Entstehung des Gewerbegebietes aus dem alten Industriestandort ELSO. Zur Frankenhäuser
Straße haben diese Grundstücke aber keinen Zugang. Der Hauptzugang erfolgt über den Steingraben. Diese Grundstücke müssen somit umbenannt und umnummeriert werden, da eine chronologische Abfolge der postalischen Zuordnungen am Steingraben ab der Einmündung
Justus-von-Liebig-Straße bis weit in den Ortsteil Jecha bereits vorhanden ist.
Während Stadtrat Gerhard Axt (Nubi) diese Umbenennung für unnötig erachtete, bedankte sich Stadtrat Tobias Schneegans im Namen der Anlieger. Er ist ja selbst unter den Betroffenen.
Am 29. Januar war die Umbenennung noch im Stadtrat gescheitert, kn berichtete (Noch keine Straßenumbenennung).
Autor: khhIn der gestrigen Sitzung des Stadtrates der Stadt Sondershausen erfolgte die Umbenennung eines Abschnittes der Straße Steingraben in
An der Wipper"
Der Stadtrat der Stadt Sondershausen beschloss mehrheitlich die Umbenennung des Abschnittes der Straße Steingraben von der Frankenhäuser Straße bis an die ehemalige Bahnanlage gemäß des beigefügten Übersichtsplanes (Bild oben) in An der Wipper zum O1. Januar 2016.
Am betroffenen Abschnitt der Straße Steingraben grenzen mehrere Gewerbegrundstücke an, die postalisch noch der Frankenhäuser Straße zugeordnet sind. Die Zuordnung resultiert aus der Entstehung des Gewerbegebietes aus dem alten Industriestandort ELSO. Zur Frankenhäuser
Straße haben diese Grundstücke aber keinen Zugang. Der Hauptzugang erfolgt über den Steingraben. Diese Grundstücke müssen somit umbenannt und umnummeriert werden, da eine chronologische Abfolge der postalischen Zuordnungen am Steingraben ab der Einmündung
Justus-von-Liebig-Straße bis weit in den Ortsteil Jecha bereits vorhanden ist.
Während Stadtrat Gerhard Axt (Nubi) diese Umbenennung für unnötig erachtete, bedankte sich Stadtrat Tobias Schneegans im Namen der Anlieger. Er ist ja selbst unter den Betroffenen.
Am 29. Januar war die Umbenennung noch im Stadtrat gescheitert, kn berichtete (Noch keine Straßenumbenennung).

